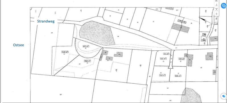
4 Vollerschlossene Baugrundstücke für Einfamilienhäuser

 

Willkommen zu einem neuen Bau-Projekt in Rosenhagen an der Ostsee, inmitten der Küstenlandschaft Mecklenburgs. Hier können Sie Ihr neues Zuhause planen, und den Alltag zum Urlaub machen. Meeresrauschen inklusive. Nach nur 300 Metern fühlen Sie den Ostseesand unter Ihren Füßen.

Die Preise

Voll erschlossen.

Größe:            Preise:                        

743 m²            verkauft                      

666 m² -          € 569 Euro m²             

630 m² -          € 562 Euro m²             

623 m² -          € 561 Euro m²             

 

Provision:        3 % zuzüglich 19 % MwSt. Jeweils von Käufer: in
und Verkäufer: in, zu zahlen bei Abschluss eines notariellen Kaufvertrages.

Sonstiges:        Dieses Angebot ist freibleibend; Irrtum und Zwischenverkauf

Das Konzept des ganzen Projektes basiert auf einer nachhaltigen und qualitativ hochwertigen Entwicklung des Standortes. Das Baugebiet wächst sukzessive, entsprechend der jeweiligen Anforderung, aber in einem hochwertigen Standard.
An der gesamten Ostseeküste findet man kaum noch vergleichbare Möglichkeiten. Grund hierfür sind unter anderem die europaweiten FFH-Richtlinien zum Schutz der Fauna-Flora-Habitat-Gebiete, die die Bebauung nahe der Küste erschweren bzw. untersagen.

Sie können dieses Dokument gerne im neuen Tab öffnen, wovon Sie es speichern oder drucken können. Klicken Sie auf der rechte Pfeiltaste.


Die Lage

Rosenhagen ist ein Ortsteil von Dassow und liegt in unmittelbarer Nähe zur Ostsee mit seinem breiten naturbelassenen Sandstrand.

Im Norden schließt der Ortsteil bis an die Lübecker Bucht heran und hat einen Strand- und Uferanteil an der Ostsee von gut zwei Kilometern.

Die Grundstücke liegen in ca. 300m Entfernung zum unberührten Strand – getrennt durch eine als Naturschutzgebiet deklarierte Grünfläche.

Die Umgebung von Rosenhagen ist ein Paradies für Naturliebhaber*innen. Hier finden sich zahlreiche Pflanzen- und Tierarten, die in den geschützten Gebieten der Region gedeihen. Vogelbeobachter*innen kommen besonders auf ihre Kosten, da viele seltene Arten hier ihren Lebensraum haben.

Rosenhagen und Umgebung bietet eine Vielzahl an Freizeitmöglichkeiten für Besucher*innen aller Altersgruppen. Wassersportarten wie Segeln, Surfen und Kajakfahren sind besonders beliebt und bieten aufregende Erlebnisse auf dem Meer. Für diejenigen, die lieber an Land bleiben, gibt es Fahrradwege und Wanderpfade, die durch die wunderbare Landschaft führen. Die bekannte Ostsee-Radweg ist ca. 300m entfernt.

Die Hansestadt Lübeck ca. 25 Autominuten entfernt. Die verwinkelte Gassen der zum UNESCO Welterbe ernannten Altstadt laden zum Staunen und Flanieren ein – hier ist die Ge-schichte spürbar und Kultur erlebbar.
Auch die Seebäder Travemünde und die verträumten Küstenorte am Timmendorfer Strand bieten besonders in der Saison viel Abwechslung. Die Hansestadt Hamburg liegt ca. eine Stunde entfernt und bietet alle Vorzüge einer Metropole. Die geschäftigen Hafenstädte Wismar und Rostock sind nach Osten hin in 25 bzw. 60 Minuten erreicht. 

Bis zur Anschlussstelle A 20 in Schönberg sind es 15 Minuten. Von dort geht es in Richtung Hamburg und Rostock, Berlin.